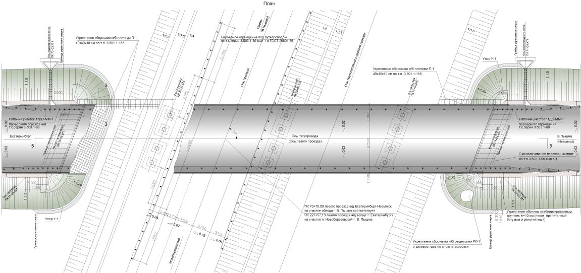
Автомобильная дорога Екатеринбург-Невьянск на участке обхода г.Верхняя Пышма. Путепровод по левому проезду на ПК 70+70.

Главный инженер проекта - Москаленко В.Г.